Ukazuje hurikán Melissa, že je čas na označení kategorie 6?

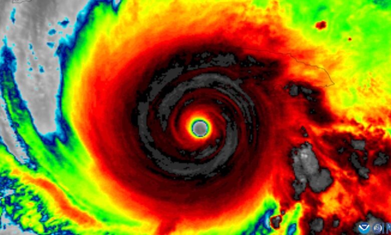
Když Hurikán Melissa zasáhl Jamajku 28. října ukázal, jak zničující může být hurikán 5. kategorie – a ještě něco navíc.
Bude trvat týdny, než budou odborníci schopni skutečně posoudit jak moc hurikán Melissa zpustošil Jamajku a blízké ostrovy. Ale vědci jsou již přesvědčeni, že změna klimatu přispěla k děsivé síle bouře, která způsobila nárazy větru daleko za minimum požadované pro kategorii 5. A Melissa by mohla oživit diskuse vířící kolem toho, zda je pět kategorií Saffir-Simpsonovy stupnice větru hurikánů dostačující k popisu monstrózních bouří, které může podněcovat změna klimatu.
ČTĚTE VÍCE: Jak se hurikán Melissa stal jednou z nejintenzivnějších atlantických bouří v historii
ZOBRAZIT VÍCE: Obrázky hurikánu Melissa odhalují Monster Storm pro knihy rekordů
O podpoře vědecké žurnalistiky
Pokud se vám tento článek líbí, zvažte podporu naší oceňované žurnalistiky předplatné. Zakoupením předplatného pomáháte zajistit budoucnost působivých příběhů o objevech a nápadech, které formují náš dnešní svět.
Jak by vypadala bouře kategorie 6?
Saffir-Simpsonova stupnice rozděluje hurikány do číslovaných kategorií pouze na základě maximální trvalé rychlosti větru. V tomto měřítku je bouře s trvalým maximálním větrem o rychlosti 74 až 95 mil za hodinu hurikánem 1. kategorie. Když vítr bouře dosáhne rychlosti 111 mph, stane se kategorií 3, což také znamená oficiální označení „velký hurikán“. Nejpřísnější klasifikace podle Saffir-Simpsonovy stupnice, kategorie 5, označuje hurikány s trvalou maximální rychlostí větru 157 mph nebo vyšší.
Loni však vědci zabývající se hurikány naznačili, že tato „otevřená“ povaha Saffir-Simpsonovy stupnice již nestačí k vyjádření reality moderních hurikánů. Oni navrhla zřízení kategorie 6který by začal při maximální trvalé rychlosti větru 192 mil za hodinu.
Jak vědci poznamenali, tohoto děsivého milníku zatím dosáhlo pět bouří a všechny tak učinily v letech po roce 2010. Těmi bouřemi byly hurikán Patricia ve východním Tichém oceánu a čtyři tajfuny – které nejsou tradičně přidělovány do kategorií – v západním Pacifiku: Haiyan, Goni, Meranti a Surigae.
Hurikán Melissa zcela nesplnil navrhovanou hranici kategorie 6, přičemž počáteční měření naznačovala maximální trvalou rychlost větru 185 mph. Díky tomu je spojen s několika dalšími vážnými bouřemi – hurikánem „Den práce“ z roku 1935 a hurikány Gilbert, Wilma a Dorian v roce 1988, 2005 a 2019 – pro druhý nejsilnější vrchol udržované rychlosti větru v Atlantském oceánu.
Nejvyšší zaznamenaná rychlost větru v Atlantiku se vyskytla v roce 1980 při hurikánu Allen, který dosáhl rychlosti 190 mph, což málem překonalo výzkumem navrhovanou kategorii 6.
Někteří vědci tvrdí, že rozšíření Saffir-Simpsonovy stupnice je zbytečné. Tento argument spočívá na skutečnosti, že stupnice zahrnuje nejen čísla kategorií a rychlosti větru, ale také poznámky o tom, jaké škody lze od těchto větrů očekávat. Herbert Saffir, jeden z vědců stojících za váhou, byl stavební inženýr, který se zaměřil na poškození větrem.
Kategorie 3 je popsána Národním centrem pro hurikány jako způsobující „zničující škody“, přičemž i dobře postavené domy jsou náchylné ke ztrátě střechy a postižená oblast čelí potenciálně několikadenní ztrátě vody a elektřiny. Obě kategorie 4 a 5 jsou popisovány jako způsobující „katastrofické škody“: „Většina oblasti bude po týdny nebo měsíce neobyvatelná,“ píše se v rubrice. V tu chvíli, odpůrci kategorie 6, tvrdí, že není třeba dělat další rozdíly v tom, jak hrozná situace bude.
A někteří se obávají, že další kategorie by mohla mít opačný účinek než zamýšlená. „Mohlo by to nafouknout měřítko tak, že život ničivé bouře zařazené do nižších kategorií by přitahovaly ještě méně pozornosti než dosud,“ napsal atmosférický vědec Kim Wood z University of Arizona. na Bluesky.
Změna klimatu a monstrózní bouře
Šokující větry hurikánu Allen v roce 1980, předtím, než byl pozorován znatelný trend stále intenzivnějších hurikánů, jsou důležitou připomínkou toho, že změna klimatu není přímo příčina monstrózní hurikány. Vědci dávají přednost popisu změny klimatu jako „nakládání kostek“ pro sílu vážných bouří nebo jako přispění k ní.
A vědci již dospěli k závěru, že změna klimatu skutečně přispěla k síle hurikánu Melissa. Analýza neziskové výzkumné organizace Climate Central vypočítala, že vody, kterými Melissa cestovala jako bouře kategorie 5, když se blížila k Jamajce, byly o více než jeden celý stupeň Celsia (dva celé stupně Fahrenheita) teplejší než normálně – což je okolnost, že změna klimatu byla více než 700krát pravděpodobnější.
Druhá rychlá analýza, kterou provedla organizace ClimaMeter, zjistila, že změna klimatu posílila větry a déšť v Melisse asi o 10 procent ve srovnání s tím, jak se bouře mohla odehrát za podmínek, kdy lidé nepřidali do atmosféry skleníkové plyny zachycující teplo. Výzkumníci v nadcházejících dnech a týdnech zveřejní další podobné „analýzy atribuce“, jak jsou tyto studie známé.
Obecně však vědci vědí, že hurikány jsou s urychlováním klimatických změn stále silnější. Teplejší oceánská voda pohání silnější větry a teplejší vzduch zadržuje více vody, ze které se pak mohou stát srážky. Mezitím zvyšující se hladina moří činí pobřežní oblasti zranitelnějšími bouřkový nárůst. Studie ukázaly, že s pokračující změnou klimatu vyšší podíl hurikánů dosahuje kategorie 3, zatímco jiné důkazy ukazují, že dokonce i tropické bouře a slabé hurikány zesilují.
Počáteční analýzy však také poukazují na slabinu myšlenky kategorie 6 a inherentní slabinu Saffir-Simpsonovy škály jako nástroje komunikace o riziku: měřítko bere v úvahu pouze rychlosti větru, ale stejně nebezpečné mohou být bouřkové vlny a srážky hurikánůne-li více tak.
ČTĚTE VÍCE: Kategorie hurikánů nezachycují všechna skutečná nebezpečí bouře
Mnohé z nejškodlivějších bouří posledních let způsobily nevýslovnou zkázu, i když byly mnohem slabší než kategorie 5. Vezměme si hurikán Katrina z roku 2005, který se dostal na pevninu jako bouře kategorie 3, ale vyvolal obrovský nárůst bouře a zabil více než 1800 lidí. Nedávno se hurikán Harvey z roku 2017 dostal na pevninu jako bouře kategorie 4, ale jeho nejnebezpečnějším nebezpečím byly přívalové deště, nikoli vítr.
Vědci zabývající se hurikánem jsou již dlouho frustrováni omezeními a nedostatky Saffir-Simpsonovy škály jako komunikačního nástroje pro širokou veřejnost a mnozí hledají jinou metriku, která by byla pro lidi stejně snadno pochopitelná, ale lépe by zahrnovala komplexní hrozby jakékoli dané bouře.
To je velký úkol. „Je nemožné shrnout hrozby hurikánu na jedno číslo,“ řekl Brian McNoldy, výzkumník hurikánů z University of Miami. Scientific American na začátku loňské hurikánové sezóny.
Obtížnou pravdou je, že hurikány jsou složité bestie, které je ze své podstaty obtížné shrnout do jediného čísla. Devastace hurikánu Melissa je příšerná alchymie vytvořená jedinečnou kombinací nezastavitelných poryvů, mořské vody, která se tlačí do vnitrozemí, a záplav, která se valí z oblohy, a to vše v interakci s krajinou a lidskými životy, které jí bouře stála v cestě.



