Věda o tom, jak se hurikán Melissa stal tak extrémním

28. října 2025
3 min přečteno
Jak se hurikán Melissa stal jednou z nejintenzivnějších atlantických bouří v historii
Téměř dokonalé sladění faktorů umožnilo hurikánu Melissa stát se jednou z nejintenzivnějších atlantických bouří, jaké kdy byly zaznamenány.
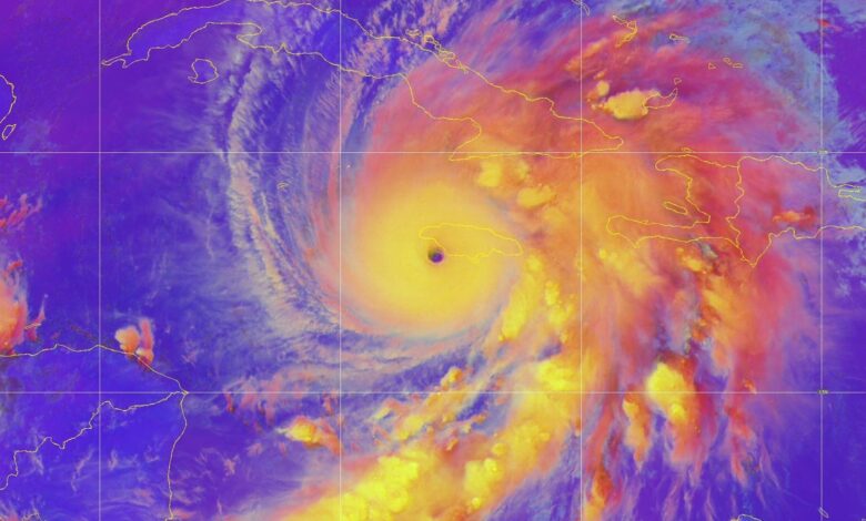
Dne 28. října Hurikán Melissa se stal jedním z nejsilnějších hurikánů, jaké kdy byly v Atlantském oceánu známy. The Hurikán 5. kategorie má vítr o rychlosti 185 mil za hodinu a centrální tlak 892 milibarů, což jej řadí do remízy s hurikánem Labor Day z roku 1935 jako třetí nejintenzivnější bouře, jaká kdy byla v Atlantiku naměřena. Bouře v roce 1935 způsobila masivní zkázu a zničila Florida Keys.
„Je to asi tak silné, jako hurikány,“ říká Brian McNoldy, výzkumník hurikánů z University of Miami. Dokonce i v západním Pacifiku, kde k silným bouřím dochází častěji, by jen málo tropických cyklónů dosáhlo této intenzity.
Důvod, proč se Melisse podařilo dostat se k této vzácné společnosti, je téměř dokonalé sladění okolností. „Tohle využívá všech možných podmínek, které právě teď může,“ říká McNoldy.
O podpoře vědecké žurnalistiky
Pokud se vám tento článek líbí, zvažte podporu naší oceňované žurnalistiky předplatné. Zakoupením předplatného pomáháte zajistit budoucnost působivých příběhů o objevech a nápadech, které formují náš dnešní svět.
„Je to frustrující kombinace – vědecky řečeno – víme, že je to možné, ale jako lidé jsme ohromeni tím, že vidíme projevy tímto způsobem,“ říká Kim Wood, atmosférický vědec z University of Arizona.
Srdcem každého tropického cyklónu je konvekce poháněná teplotním rozdílem mezi teplým mořským povrchem a chladnou atmosférou na vrcholu bouře, odkud proudí vzduch. Tento odtok se objevuje ve vrstvě zvané tropopauza, která označuje hranici mezi troposférou (kde se odehrává zemské počasí) a nadložní stratosférou. Troopauza je vyšší v tropech než v mírnějších zeměpisných šířkách. Nad Pacifikem je také vyšší než nad tropickým Atlantikem, což je část důvodu, proč jsou tichomořské tajfuny často silnější než atlantické hurikány (ačkoli jde o stejné jevy). Melissa plně využívá tuto výšku tropopauzy a její extrémně studené vrcholky mraků, což podporuje její výjimečnou konvekci.
ČTĚTE VÍCE: Věda o hurikánech má spoustu žargonu – zde je to, co to všechno znamená
Na spodním konci svého konvekčního motoru byla Melissa zaparkována „v podstatě nad nejteplejší vodou, kterou Atlantik právě nabízí,“ říká McNoldy. Teploty oceánu v Karibiku jsou na svém vrcholu v říjnu po letních měsících, kdy „oceán jen sedí a vaří,“ dodává.
Měření bóje před týdnem ukázala teplotu vody 30 stupňů Celsia (86 stupňů Fahrenheita) nebo více až do 60 metrů (téměř 200 stop). „Pod tím, co se nakonec stalo Melissou, byla rozšířená koupel,“ říká Wood.
Normálně by bouře, která se pohybovala tak pomalu jako Melissa – s dopředným pohybem 3 až 5 mph – chrlila chladnější vody z hloubi oceánu, což by nakonec bouři oslabilo. Ale v této oblasti je dostatečně hluboké teplo, že se to Melisse nestalo. „Je to téměř ideální místo, kde se to může stát,“ říká McNoldy.
Na druhou stranu, kdyby se Melissa pohybovala rychleji, možná by se nemohla živit teplými vodami tak dlouho jako dosud. Tento hurikán se za poslední týden téměř nepohnul.
Čas, který hurikán strávil nad tímto bohatstvím tepla, mu také pomohl udržet si svou neuvěřitelnou intenzitu tak dlouho – byla to bouře kategorie 5 déle než jeden den.
Melissa vyrostla z tropické bouře na velký hurikán v procesu známém jako rychlá intenzifikace, ke kterému dochází, když vítr bouře během 24 hodin přeskakuje rychlostí alespoň 35 mph. Během prvního období rychlého zesílení se Melissiny větry zdvojnásobily. „To je mimořádné,“ říká McNoldy.
Možná ještě více ohromující bylo, že Melissa prošla dalším obdobím rychlého zesílení poté, co už to byl hurikán 4. kategorie. A nejenže si udržela svůj status kategorie 5, když se pomalu přibližovala k Jamajce, ale také neustále sílila. Normálně, když bouře začnou interagovat s pevninou – zejména s kopcovitým terénem, jako je Jamajka – tření je začne narušovat a oslabovat. Přesto hurikán Melissa „vypadá, jako by ani nevěděl, že tam Jamajka je,“ říká McNoldy. „Vypadá naprosto nerušeně.“
Je jasné, že s měnícím se podnebím teploty oceánů rostou a tropické systémy mají k dispozici více vlhkosti. A je zde jasný trend k více – a intenzivnější – rychlé intenzifikaci a vyššímu podílu bouří, které dosahují vyšší intenzity. Zda uvidíme více situací, ve kterých se podmínky dokonale vyrovnají, aby hurikány dosáhly svého maximálního potenciálu, není jasné, říká Wood. Ale Melissa pravděpodobně podnítí mnohem více výzkumu této otázky.
Je čas postavit se za vědu
Pokud se vám tento článek líbil, rád bych vás požádal o podporu. Scientific American sloužil jako obhájce vědy a průmyslu již 180 let a právě teď může nastat nejkritičtější okamžik v této dvousetleté historii.
Byl jsem a Scientific American předplatitel od mých 12 let a pomohlo mi to utvářet můj pohled na svět. SciAm vždy mě vzdělává a těší a vzbuzuje úctu k našemu obrovskému, krásnému vesmíru. Doufám, že to udělá i vám.
Pokud vy přihlásit se k odběru Scientific Americanpomáháte zajistit, aby se naše pokrytí soustředilo na smysluplný výzkum a objevy; že máme zdroje na podávání zpráv o rozhodnutích, která ohrožují laboratoře v USA; a že podporujeme začínající i pracující vědce v době, kdy hodnota samotné vědy příliš často zůstává nepoznaná.
Na oplátku získáte zásadní zprávy, strhující podcastyskvělá infografika, nepřehlédnutelné newsletteryvidea, která musíte vidět, náročné hrya nejlepší vědecké psaní a zpravodajství. Můžete dokonce darovat někomu předplatné.
Nikdy nebyl důležitější čas, abychom vstali a ukázali, proč na vědě záleží. Doufám, že nás v této misi podpoříte.



